Thời gian CSKH online: T2 ~ T7, 08:00 - 17:00

Bán Thường

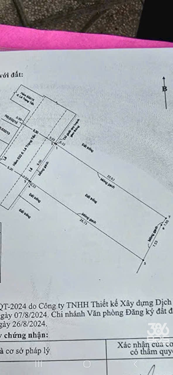
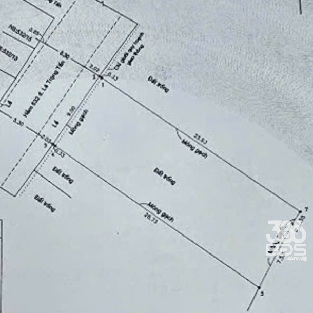
238m2 thổ cư 532/ Lê Trọng Tấn , Tây Thạnh, q Tân Phú giá 18 tỷ

532/ Lê Trọng Tấn, Tây Thạnh, Quận Tân Phú, TP Hồ Chí Minh

18tỷ ₫

move icon
238 m²
  • Vuông:238 m²
  • Loại bất động sản:Bán đất
  • Mã tin đăng:001338
  • Ngày đăng:25/08/2025
  • Ngày hết hạn:23/12/2025

Hàng hiếm giá tốt 
Giá 18,5 tỷ giảm 500 triệu còn 18tỷ Tl
Chủ gửi bán đất 532/ Lê Trọng Tấn phường Tây Thạnh- Tân Phú 
Dt : 9x27 mét nở hậu dt công nhận 238m2 không lộ giới 
Giá: 18 tỷ thương lượng
LH 0977388511 zalo

532/ Lê Trọng Tấn, Tây Thạnh

Bạn tìm nhà môi giới chuyên nghiệp?

Chúng tôi sẽ cung cấp dịch vụ tốt nhất và hoàn thành nhanh nhất cho bạn.